(044) 300-25-56

Арестованные нежилые помещения в Днепропетровской области

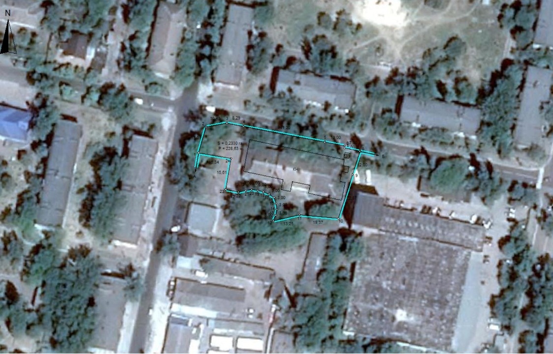
1/15 частина підсобного корпусу кондитерського цеху літ. «А» реєстраційний номер об`єкта НМ: 143563912121 та склад–холодильник, літ. «П», загальною площею: 34.2 кв.м. які розташовані за адресою: Дніпропетровська обл., м. Покров, вул. Торгова, 56
39
Днепропетровская область

1/15 частин комплексу (підсобний корпусу кондитерського цеху літ. «А»), на підставі договору купівлі - продажу, серія та номер: 1553, виданого 15.08.2017 року, приватним нотаріусом Покровського міського нотаріального округу Дніпропетровської області - Кулик О.П., належать боржнику.

Дані 1/15 частин комплексу (підсобний корпусу кондитерського цеху літ. «А» ) розташовані за  адресою Дніпропетровська  обл., м. Покров, вул. Торгова, буд. 56 та мають площу: 596,8 кв.м. та складаються з наступних приміщень:

  • коридор (приміщення 1), площею: 6,6 кв.м.;
  • приміщення (приміщення 2), площею: 22,4 кв.м. ;
  • приміщення (приміщення 3), площею: 64,4 кв.м.;
  • коридор (приміщення 4), площею: 4,8 кв.м.;
  • приміщення (приміщення 5), площею: 178,6 кв.м.;
  • приміщення (приміщення 6), площею: 56,4 кв.м.
  • приміщення (приміщення 7), площею: 4,3 кв.м.;
  • приміщення (приміщення 8), площею: 12,6 кв.м.;
  • приміщення (приміщення 9), площею: 5,0 кв.м.;
  • приміщення (приміщення 10), площею: 23,9 кв.м.;
  • приміщення (приміщення 11), площею: 13,8 кв.м.;
  • приміщення (приміщення 12), площею: 6,1 кв.м.;
  • приміщення (приміщення 13), площею: 8,8 кв.м.;
  • приміщення (приміщення 14), площею: 7,1 кв.м.;
  • коридор (приміщення 15), площею: 1,2 кв.м.;
  • приміщення (приміщення 16), площею: 61,9 кв.м.;
  • приміщення (приміщення 17), площею: 3,4 кв.м.;
  • приміщення (приміщення 18), площею: 18,3 кв.м.;
  • санвузол (приміщення 19), площею: 3,1 кв.м.;
  • санвузол (приміщення 20), площею: 2,8 кв.м.;
  • приміщення (приміщення 21), площею: 8,7 кв.м.;
  • приміщення (приміщення 22), площею: 1,6 кв.м.;
  • приміщення (приміщення 23), площею: 5,5 кв.м.;
  • приміщення (приміщення 24), площею: 17,0 кв.м.;
  • приміщення (приміщення 25), площею: 11,9 кв.м.;
  • приміщення (приміщення 26), площею: 16,2 кв.м.;
  • вбудована шафа (приміщення 27), площею: 1,6 кв.м.;
  •  коридор (приміщення 28), площею: 28,8 кв.м.;

Фундамент: залізобетонні блоки, стіни: цегла, покрівля: цегла, підлога: бетон;

Комунікації: електропостачання, водопровід, каналізація, газопровід.

 

Склад - холодильник, літ. «П», який на підставі договору купівлі - продажу, серія та номер: 1555 виданого 15.08.2017 року приватним нотаріусом Покровського міського нотаріального округу Дніпропетровської області - Кулик О.П., належать боржнику.

Даний склад - холодильник, літ. «П», розташований за адресою: Дніпропетровська обл., м. Покров, вул. Торгова, буд. 56, має площу: 34,2 кв.м та складається з наступних приміщень:

  • приміщення (приміщення 1), площею: 14,1 кв.м.;
  • приміщення (приміщення 2), площею: 8,1 кв.м.;
  • приміщення (приміщення 3), площею: 8,9 кв.м.;
  • приміщення (приміщення 4), площею: 3,1 кв.м.;

Висота приміщень склад - холодильник,  літ. «П»: 3,0 м.

Фундамент: залізобетонні блоки, стіни: цегла, покрівля: сумісна, підлога: бетон ;

Комунікації: електропостачання

Сколибог Олександр Сергійович (ПВ), виконавчий округ - Запорізька обл., номер посвідчення 0010
Номер лоту
588229
Нежитлове приміщення 4160520416
Дата начала аукциона
24.11.2025 09:00:00
Начальная цена
340 798 грн
Гарантийный взнос
17 040 грн
Минимальный шаг аукциона
6 816 грн
Стан аукціона
реєстрація учасників
Нежитлове приміщення № 1 поз.1-17, І, І-1, ІІ-1, ІІІ-1, загальною площею 671,7 кв.м., ґанки літ.а, а`, РНОНМ 18157212101, за адресою: Дніпропетровська обл., м.Дніпро, вул.Вернадського Володимира, буд.15, прим.1
11
Днепропетровская область

Нежитлове приміщення (поз.1-17, І, І-1, ІІ-1, ІІІ-1, ґанки літ.а, а`), розташоване за адресою: Дніпропетровська обл., м.Дніпро, вул.Вернадського Володимира, буд.15, прим.1 (реєстраційний номер об’єкта нерухомого майна в Державному реєстрі речових прав на нерухоме майно 18157212101), що знаходиться на першому, другому та третьому поверхах триповерхової будівлі. Матеріл стін – цегла.

Загальна площа нежитлового приміщення розташованого за адресою: Дніпропетровська обл., м.Дніпро, вул.Вернадського Володимира, буд.15, прим.1 (реєстраційний номер об’єкта нерухомого майна в Державному реєстрі речових прав на нерухоме майно 18157212101) становить 671,7 кв.м., що складається з:

  • І поверх площею 18,1кв.м. (1 - сходова клітина площею 18,1 кв.м.,);
  • ІІ поверх площею 319,3 кв.м. (2 - сходова клітина площею 18,1 кв.м., 3 - приміщення площею 126,5 кв.м., 4 – приміщення площею 164,1 кв.м., 5 – коридор площею 6,2 кв.м., 6 – вбиральня площею 1,1 кв.м., 7 – вбиральня площею 1,1 кв.м., 8 – вбиральня площею 1,1 кв.м., 9 – вбиральня площею 1,1 кв.м.);
  • ІІІ поверх площею 334,3 кв.м., (10 – сходова клітина площею 18,1 кв.м., 11- приміщення площею 133,2 кв.м., 12 – приміщення площею 172,3 кв.м., 13 – коридор площею 6,3 кв.м., 14 – вбиральня площею 1,1 кв.м., 15 – вбиральня площею 1,1 кв.м., 16 - вбиральня площею 1,1 кв.м., 17 - вбиральня площею 1,1 кв.м.).

Опис здійснено з урахуванням інформації, отриманої з Державного реєстру речових прав на нерухоме майно та технічного паспорту (реєстраційний номер у Реєстрі будівельної діяльності:ТІ01:2282-4479-5477-3045) виготовленого 22.07.2025.

Майно належить боржнику на підставі рішення постійнодіючого третейського суду при Асоціації «Правосуддя та захист», серія та номер: б/н, виданий 02.06.2008, видавник: постійнодіючий третейський суд при Асоціації «Правосуддя та захист»; Витяг про реєстрацію права власності на нерухоме майно, серія та номер : 19441928, виданий 07.07.2008, видавник: Комунальне підприємство «Дніпропетровське міжміське бюро технічної інвентаризації» Дніпропетровської обласної ради.

Селезньов Максим Олександрович (ПВ), виконавчий округ - Дніпропетровська обл., номер посвідчення 0307
Номер лоту
588636
Нежитлове приміщення 4160520416
Дата начала аукциона
01.12.2025 09:00:00
Начальная цена
10 455 000 грн
Гарантийный взнос
522 750 грн
Минимальный шаг аукциона
104 550 грн
Стан аукціона
реєстрація учасників
Нежитлове приміщення загальною площею 92,2 кв.м. Дніпропетровська обл., за адресою: м. Дніпро, вулиця Робоча (Красногвардійський район), будинок 93, приміщення 61
4
Днепропетровская область

приміщення, яке знаходиться в житловому будинку літ. А-4 на І поверху приміщення №61-кафе ""Жар-птиця" загальною площею 92,2 кв.м. літ.а-ганок. примітка: зміна позицій та збільшення загальної площі на 2,1 кв. м. затвердженна технічним висновком ІДАБК від 18.01.2006 р. №33/06. Номер запису: 1432-143 в книзі: 26нф. свідоцтво про право власності, б/н, 24.04.2002, видане Виконавчим комітетом Дніпропетровської міської ради

Шевцов Ігор Вікторович (ПВ), виконавчий округ - Дніпропетровська обл., номер посвідчення 0169
Номер лоту
588066
Нежитлове приміщення 4160520416
Дата начала аукциона
24.11.2025 09:00:00
Начальная цена
2 085 600 грн
Гарантийный взнос
104 280 грн
Минимальный шаг аукциона
20 856 грн
Стан аукціона
реєстрація учасників
Нежиле приміщення, РНОНМ 772483, що знаходиться за адресою: Дніпропетровська область, Криворізький район, с. Щасливе (с.Новокурське), вул. Центральна (Колгоспна), б.3
7
Днепропетровская область

 Нежиле приміщення, загальною площею 145,6 кв.м., складається з коридору - 14,4 кв.м., кабінет 1 - 15,3 кв.м., кабінет 2 - 26,2 кв.м.,  кабінет  3- 18,3 кв.м., кабінет 4 - 14,6 кв.м., кабінет 5 - 21,7 кв.м., кабінет 6 - 35,1 кв.м. Без комінікацій - відсутня електомережа, відсутній водопровід, відсутні газопостачання та тепламережі. Потребує зовнішніх та внутрішніх ремонтних робіт.

Відомості про право власності: договір купівлі-продажу, б/н, 19.03.2001, Криворізька філія товарної біржі "Українська", реєстр № 155939

Криворізький відділ державної виконавчої служби у Криворізькому районі Дніпропетровської області Південного міжрегіонального управління Міністерства юстиції (м. Одеса)
Номер лоту
587574
Нежитлове приміщення 4160520416
Дата начала аукциона
05.11.2025 09:00:00
Начальная цена
458 082 грн
Гарантийный взнос
22 904 грн
Минимальный шаг аукциона
9 162 грн
Стан аукціона
реєстрація учасників
Нерухомість за власником